立即注册
 找回密码
 立即注册

QQ登录

只需一步,快速开始

搜索
手机版
专享特惠酒店
7X24小时客服电话

15063237075

休闲灌水开心乐园贴图专区拉风汽车

休闲灌水开心乐园贴图专区拉风汽车

休闲灌水开心乐园贴图专区拉风汽车

休闲灌水开心乐园贴图专区拉风汽车

滕州最新消息
发表于: 2025-10-11 08:02:53 | 显示全部楼层

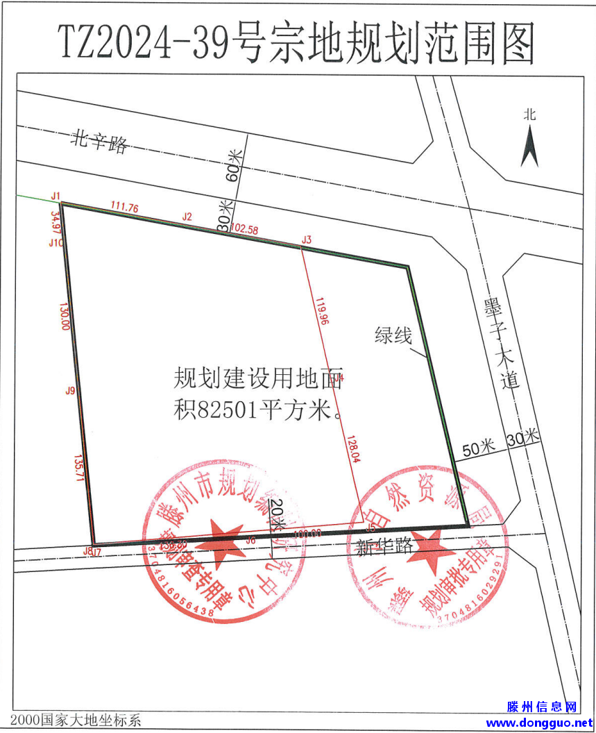
   经滕州市人民政府批准,滕州市自然资源局决定在枣庄市公共资源交易网以网上挂牌的方式公开出让国有建设用地使用权。详情如下:

楼面价4236.72元/㎡!滕州挂牌出让一宗居住用地!

楼面价4236.72元/㎡!滕州挂牌出让一宗居住用地!


     TZ2024-39-1号宗地,位于新华路北侧、墨子大道西侧、北辛路南侧,土地面积21465平方米,土地用途及年期为居住70年。规划指标要求:1.0<地上容积率≤1.7,建筑密度≤28%,绿地率≥35%。起始价15460万元,按照最高容积率1.7计算,折合楼面价约4236.72元/平方米。

楼面价4236.72元/㎡!滕州挂牌出让一宗居住用地!

楼面价4236.72元/㎡!滕州挂牌出让一宗居住用地!

楼面价4236.72元/㎡!滕州挂牌出让一宗居住用地!

楼面价4236.72元/㎡!滕州挂牌出让一宗居住用地!



跳转到指定楼层
回复

使用道具 举报

您需要登录后才可以回帖 登录 | 立即注册

本版积分规则

主题:619 | 回复:627

快速回复 返回顶部 返回列表